ราชกิจจานุเบกษา เผยแพร่ พ.ร.ก.เวนคืนที่ดิน ท้องที่แขวงจอมพล เขตจตุจักร บริเวณ ซอยวิภาวดีฯ 5 เพื่อสร้างรอู่จอด และซ่อมบำรุงรถไฟฟ้ากับถนนวิภาวดีรังสิต
23 ส.ค. 63 เว็บไซต์ราชกิจจานุเบกษา เผยแพร่ พระราชกฤษฎีกา กำหนดเขตที่ดินที่จะเวนคืน ในท้องที่แขวงจอมพล เขตจตุจักร กรุงเทพมหานคร พ.ศ. 2563 ระบุความว่า…
พระบาทสมเด็จพระปรเมนทรรามาธิบดีศรีสินทรมหาวชิราลงกรณ พระวชิรเกล้าเจ้าอยู่หัว มีพระบรมราชโองการโปรดเกล้าฯ ให้ประกาศว่า โดยที่เป็นการสมควรกาหนดเขตที่ดินที่จะเวนคืน ในท้องที่แขวงจอมพล เขตจตุจักร กรุงเทพมหานคร เพื่อสร้างและขยายทางหลวงท้องถิ่น สายทางยกระดับเชื่อมระหว่างอาคารอู่จอด และซ่อมบำรุงรถไฟฟ้ากับถนนวิภาวดีรังสิต
อาศัยอำนาจตามความในมาตรา 175 ของรัฐธรรมนูญแห่งราชอาณาจักรไทย มาตรา 8 วรรคหนึ่ง แห่งพระราชบัญญัติว่าด้วยการเวนคืนและการได้มาซึ่งอสังหาริมทรัพย์ พ.ศ. 2562 และมาตรา 68/1 แห่งพระราชบัญญัติทางหลวง พ.ศ. 2535 ซึ่งแก้ไขเพิ่มเติมโดยพระราชบัญญัติทางหลวง (ฉบับที่ 2) พ.ศ. 2549 จึงทรงพระกรุณาโปรดเกล้าฯ ให้ตราพระราชกฤษฎีกาขึ้นไว้ ดังต่อไปนี้

มาตรา 1 พระราชกฤษฎีกานี้เรียกว่า พระราชกฤษฎีกากาหนดเขตที่ดินที่จะเวนคืน ในท้องที่แขวงจอมพล เขตจตุจักร กรุงเทพมหานคร พ.ศ. 2563?
มาตรา 2 พระราชกฤษฎีกานี้ให้ใช้บังคับตั้งแต่วันถัดจากวันประกาศในราชกิจจานุเบกษาเป็นต้นไป
มาตรา 3 ที่ดินที่จะเวนคืนตามพระราชกฤษฎีกานี้มีวัตถุประสงค์เพื่อใช้ในการสร้างและขยายทางหลวงท้องถิ่น สายทางยกระดับเชื่อมระหว่างอาคารอู่จอดและซ่อมบำรุงรถไฟฟ้ากับถนนวิภาวดีรังสิต
มาตรา 4 พระราชกฤษฎีกานี้ให้ใช้บังคับได้มีกำหนดสี่ปี
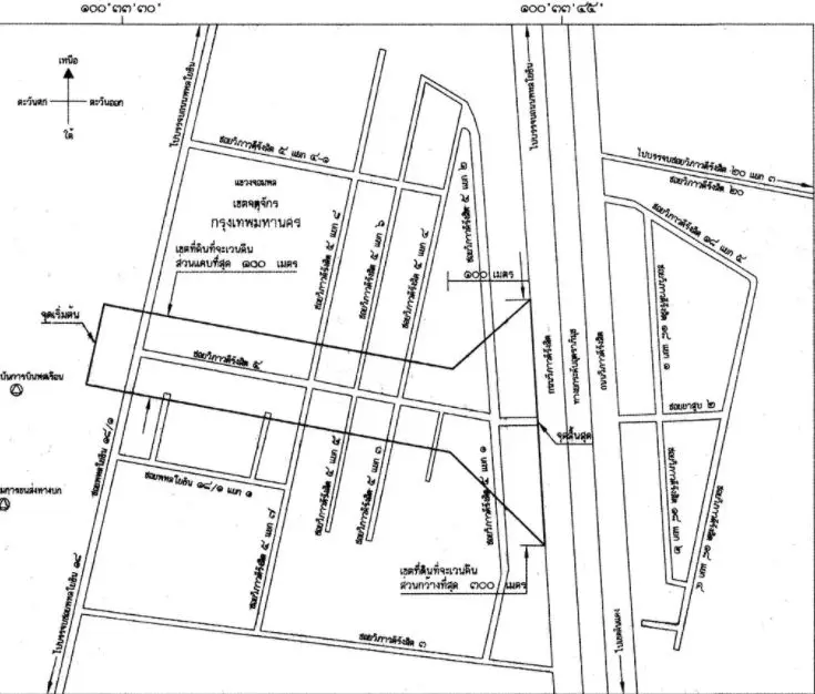
มาตรา 5 เขตที่ดินที่จะเวนคืนตามพระราชกฤษฎีกานี้ อยู่ในท้องที่แขวงจอมพล เขตจตุจักร กรุงเทพมหานคร มีส่วนแคบที่สุดหนึ่งร้อยเมตร และส่วนกว้างที่สุดสามร้อยเมตร ทั้งนี้ ภายในแนวเขตตามแผนที่ท้ายพระราชกฤษฎีกานี้
มาตรา 6 ให้เริ่มต้นเข้าสำรวจที่ดินและอสังหาริมทรัพย์ที่อยู่ภายในแนวเขตที่ดินที่จะเวนคืนตามพระราชกฤษฎีกานี้ภายในหนึ่งร้อยยี่สิบวันนับแต่วันที่พระราชกฤษฎีกานี้ใช้บังคับ
มาตรา 7 ให้กรุงเทพมหานครเป็นเจ้าหน้าที่ในการเวนคืน
มาตรา 8 ให้รัฐมนตรีว่าการกระทรวงมหาดไทยรักษาการตามพระราชกฤษฎีกานี้

